ダイヤモンドフロストなど

ダイヤモンドフロストは去年初めて育てたのですが、暑い夏に涼しそうな白い小花を長い間咲かせてくれて重宝しました。

P6263576

ところが去年の株は切り戻しをし過ぎて、まだ大きくなってなくて、我慢できずに先日のHC行きで連れ帰った株が、まずまずで大きくなってきました。

これ、暑さに強いですね。

暑くなる前はなかなか大きくならなかったのに、気温が上がりだすとぐんぐん伸びてきました。

P6263549 同じ頃に、HCでシアオアオイ・ブラックキングも見かけたのでこれも連れ帰りました。

去年は地植えにして花も数輪咲いたのですが、何しろ巨大な株になりすぎて、ビニールのフレームで覆ったものの、去年の厳しかった冬が越せませんでした。

耐寒性がほとんどないようです。

今年は同じ過ちを繰り返さないために、鉢植えです。

P6263557 何年か前からヨウシュヤマゴボウが生えてくるようになって、たいていは抜くのですが1株だけ置いておいたら、早くも花が咲いています。

これを切花にして瓶などに生ける人もいるそうですが・・・。

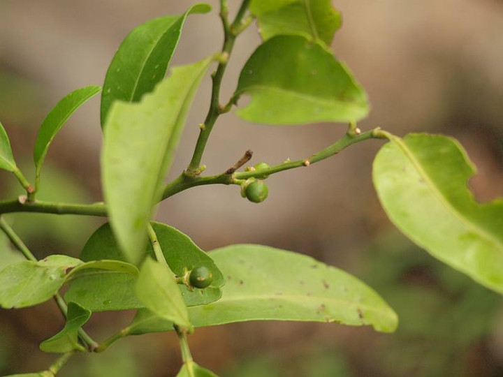
P6263558 シークワーサーの実もようやく直径1センチほどになってきました。

何とか果汁が絞れるくらいになって欲しいものです。

P6263553 畑の草抜きをしていたら、この前花芽だったクリスマスローズが咲きだしていました。

白っぽい花のようです。

これは実生の株をもてあまして地植えにしたものだと思います。

P6263552 そして、まだ花芽があるのです。

今頃咲いたら株が弱るとか言いますが、ハイブリッドのクリスマスローズはとてつもなく強いですから、少々のことでは枯れたりはしません。

P6263555 それよりもゲラのジョンソンズブルーがこの暑さの中咲き急ぐのが気になります。

この暑さなので、花が一日しかもちませんから、あっという間に花が終わりそうです。

コメント(0)