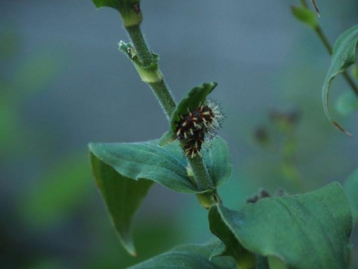
今日はルリタテハの幼虫

ついこの前は気アゲハの幼虫を見つけてばかりですが、今朝はホトトギスの株を見ていたら、何やら毛虫が・・・

Pa040881

↑いかにも毒々しそうな幼虫ですが・・・

確か、花友さんのブログで見たことあるような?

ホトトギスが食草といえば、そうそう、ルリタテハだったかな?

Pa040880 いかにも刺されそうな感じですが、調べてみると刺したりしないそうです。

うちの庭にときどきルリタテハが飛んでいるのはそういう訳だったんですね。

コメント(0)