晩秋の高知ドライブで、その5、双名島そしてタイキンギク

ノジギクを愛でながら、とうとう双名島近くまでやってきました。

望遠レンズを車に置き忘れたというRさんがレンズを取りに行くついでに、車を双名島の駐車場まで持ってきていただきました

Pb235969

双名島は沖合100mほどのところに二つの島が並んでいるので、その名がついたようです。

この海岸線は今まで何度か走っていますが、実は双名島に渡るのはこれが初めてのことです。

Pb235925

双名島の説明書きです。

Pb235942階段を伝っていったんコンクリートで固められた海岸まで下りると、後は防波堤のような道が続いています。

↑ノジギクを撮影される2人・・・。

Pb235943

この日は波も穏やかなので、釣りに来ている人がちらほら見受けられました。

Pb235946

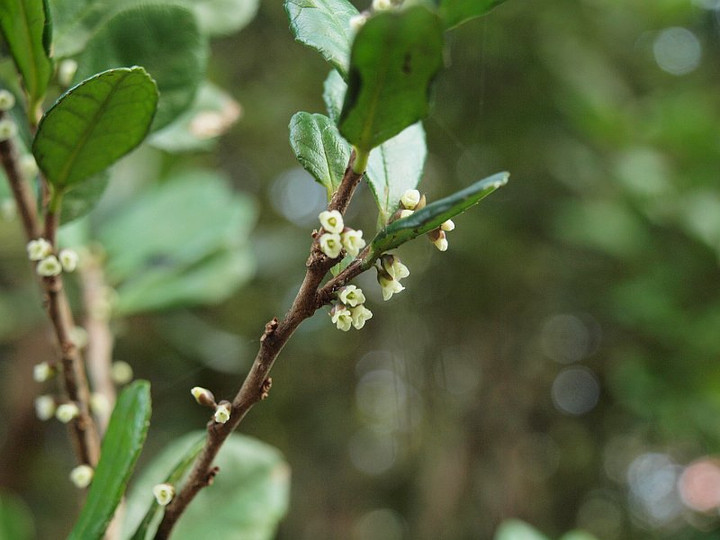
一つ目の島を歩いていると、見覚えのある白い花。

そうそう、これは浜辺に特有のハマヒサカキでしたね。

久しぶりで花を見ました。

11月初めの蒲生田岬ではまだ蕾でした。

Pb235958

直ぐに逃げられましたが、どうもイソヒヨドリだったようです。

Pb235951

島にもアゼトウナやノジギクがちらほら咲いていました。

Pb235963灯台がある、島の一番高みに登っていると、木々の合間から漁船が見えます。

Pb235964ここの灯台は小ぶりですね。

Pb235965帰りはハマナデシコの花を見つけました。

高知は暖かいので、初冬でもハマナデシコが咲いています。

Pb235967島の方から陸地を見たところです。

電信柱が立っているのが、ちょっと面白かったですが、考えたら灯台に灯りを灯すには電気が必要なんですね。

帰りは流木を見つけたのを拾って帰りました。

Pb235970ファミリーで来ている人もいて、この日の海辺は全然寒くなくて絶好の行楽日和でした、

Pb235971ハスノハカズラだと思いますが、海岸には冬場しか来ないので、花も実も見たことがありせnん。

その後、車に乗り込んで、移動します。

Pb235977例年、タイキンギクが群生している場所にやってきましたが、今年も咲き始めていました。

ユキミギクとも言われるように、冬場にも咲いている花です。

Pb235976ノジギクとのツーショットです。

ノジギクの花と黄比べたら一目瞭然ですが、花は小さいです。

Pb235979

望遠レンズで撮影しました。花の大きさは違いますが、ツワブキの花と色合いや花の形は似てますね

Pb235981たいていは道路の山側の法面に咲いていますが、これは海のほうに向かって咲いていたものです。海岸傍に多いですが、時にはかなり内陸部で見ることもあります。

Pb235986ノジギクは、ここでも真っ白な塊で咲いていました。

Pb235990帰り道は道の駅で休憩を入れて、藁焼きカツオのたたきなど買って帰りました。

高知は食べるものも美味しく、花も12月ごろまで見られるので、やはり毎年のように訪れてしまいます。

コメント(0)