ジャンボフェリーと電車で伊吹山弾丸登山、その2、ハグロソウ

4年前には3合目までタクシーに乗って登り、そこから歩いて登ったのですが、今回は山登りが目的ですから、当然ながら下から歩きます。

登山口から山頂までは6000mとありますね。

P8231704

私たちが登るのと相前後して、若いカップルが登っていきます。

今回の伊吹山は子供たちのグループや若い男女がすごく多かったですね。

それだけ、登山が若い世代に人気が出てきたということで、これは私たち中高年にとっても嬉しいことですね。

P8231707

↑登り始めて、すぐに目についたのがこの花です。

最初はうちの庭でもいっぱい咲いているキツネノマゴと思っていたのですが、よく見ると、あれ?違う。これはハグロソウではありませんか。

ハグロソウは私の住む香川の山にも咲きますが、どこにでも咲くという訳ではなくて、ここ5年以上も見てなかったのでした。

P8231709

二つ揃って咲いています。

地味花ですが、しばらく見てなかったので、嬉しい出会いでした。

さすが遠くまでやってくると、普段見かけない花が見られるのが良いですね。

P8231712

↑これはノブキですね。

これも香川の山にも咲きますが、8月下旬でも、もう咲いているんですね。

P8231714

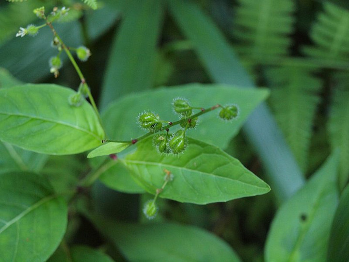
今年3度目のミズタマソウは伊吹山で見ることになりました。

P8231715

ミズタマソウの果実を初めて見ました。

ウシタキソウとよく似ていますが、茎のふしが赤くなるとか・・・・。

なるほど、赤くなっていますね。

P8231716

道から赤いものが見えて、お地蔵様の前掛けでした。

ひろきち地蔵と言うようです。

P8231718

登山口からしばらくは石がごろごろしたような道でしたが、途中から歩きやすい道になりました。

P8231719

アカツメグサも咲いていますが、終盤でした。

P8231720

道の傍らには栗のイガも見えていて、そろそろ秋の雰囲気でしょうか。

P8231721

ツユクサも平野部のツユクサより青の色が濃いような気がします。

P8231722

9時48分、一合目に着きました。

30分しか歩いていませんが、暑いので、ここで一休みしました。

P8231723

休憩していると、登って行く人が見えています。

P8231724

伊吹山山頂方面をバックにハングライダーが飛んでいます。

P8231727

9時55分、小学生のグループの後に続いて、私たちも歩き始めました。

P8231728

振り返ると、琵琶湖が少しだけ見えていますが、登るにつれてもっと良く見えるはずです。

P8231734

ススキの穂ももう上がってますね。

P8231735

これはクララの果実でしょうか?

肝心の花がもう終わっているので、確信はないのですが・・・。

P8231736

草むらの中ではコオニユリも咲いているようです。

P8231737

こちらのピンクの花は、ヒルガオのようですね

コメント(2)