6月下旬の花散策にて、ムラサキシキブ、ウリノキ、キカラスウリ、オオハンゲ、その他

6月ごろに咲く山の花は地味なものが多いのですが、これなどもその仲間かも知れません。

最初見た時はヤブムラサキと思い込んでいましたが、どうやらムラサキシキブだったようです。

果実が派手なものは花は地味なのが多いですね。

P6275106

↑ヤブムラサキはもっと花がまばらに咲くし、何より葉に毛があります。

里山ではたいがいヤブムラサキを見ることが多いので、てっきり今回もヤブムラサキだと思い込んでいました。思い込みは気をつけないと・・・

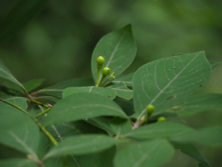
P6275107葉はすべすべしていますね。

P6125449jpg↑因みに2010年に撮影したヤブムラサキの花の画像。

花の萼にも毛が見えています。

P6275227ウリノキは香川の山には意外と多いですね。

今年はいつも見ている山でウリノキをあまり見ませんでしたから、ここで見られてほんとに良かったです。

P6275223ぶら下がって咲く白い小さな花がとても可愛いです。

P6275011キカラスウリの花が10時頃だというのに咲いていました。

アセモの薬である天花粉はこの根っこから作るのだそうです。

香川ではなぜかカラスウリよりもキカラスウリの方をよく見ます。

P6275012普通は朝には萎むらしいですが、ラッキーでした。

P6275187オオハンゲの花には緑色のものと紫色のがあると、たまたま出会った方に教えていただきました。

↑緑色の花。

P6275188こちらは紫色の花。

P6275018樹林の中では、ツリバナの若い実を見かけました。

秋にはこの赤い果実を見るためにはわざわざ来ないと思いますが・・・

P6275020ヨウシュヤマゴボウは数年前まで自宅にいっぱい咲いてたのですが、今では咲かなくなり、こんなものでも見ると撮影してしまいます(^^;)

P6275048雨が多いので、ギンリョウソウがたくさん出ていました。

ピンボケ画像です(^^;)

P6275022カワラマツバも文字通り、産直へ行く際に川べりの道を走るので、いつも見ていますがとりあえず撮影です。

P6275061今年はクロモジの果実をちょくちょく見ます。

P6275067こちらはホウチャクソウの果実

P6275114naikada数年ぶりでハナイカダの果実も見ました。

P6275050トチバニンジンの果実になりかけたところ

P6275052サワギクも6月の花ですよね。

P6275165ナベワリも果実になり始めていました。

この花もここ数年見てないです。

P6275172↑ヤマシグレもまだ蕾ですが風情があります。

P6275180なんとPさんが見つけてくれてナナフシまで見ることができました。

生まれて初めて見ましたが、もっと大きい昆虫かとばかり思っていました。

P6275253最後に帰途で立ち寄ったヒマワリ畑です。

その前にたまたま通りがかって、見ごろだと思ったので、山仲間の二人を案内しました。

丁度水を張った田んぼにヒマワリが写りこんだ光景は今ならではでしょうか。

バックは大麻山です。

P6275241満濃や仲南ノヒマワリ畑は今や、香川の夏の風物詩ですね。

コメント(0)