師走の一日、海辺の山を歩く、その6

登りは車道をゆったりと登ってきましたが、下りの遊歩道は階段の道なので、登るのも下るのもちょっと大変かもしれません。暑いときにはあまり歩きたくない道ですね。

Pc076088

三崎の灯台が、望遠レンズで覗くとかなりはっきりと見えるようになりました。

私はまだ行ったことがないのですが、機会があれば、是非行きたいと思います。

何しろ、庄内半島は子供のときからゆかりのある場所なのですから・・。いつでも行けるという気があって、かえって、まだ訪れてないのかも・・・。

Pc076091 サルトリイバラは下り道でもかなり見かけました。

讃岐の低山ではよく目にする実です。

私が子供の頃は、讃岐の柏餅はサルトリイバラの葉でくるんであったものです。

今年も琴平の某スーパーで見かけましたから、まだ一部のお菓子屋さんではサルトリイバラの葉を使っているようです。

Pc076095 庄内半島には以前は除虫菊がたくさん栽培されてあったことを書いてある案内書きがありました。

今は除虫菊の代わりにマーガレットやストックが栽培されています。

Pc076098 階段になった遊歩道を下ってくる野草友達のRさん。

Pc076104 落ち葉に埋もれた道には石仏も立っています。

この遊歩道は遍路道ではない筈ですが、昔からの道なのでしょうね。

Pc076105 名ショットを狙う、野草友達のRさんとreikoさん・・・。

冬場はこんな鮮やかな服装が温かそうで良いですね。

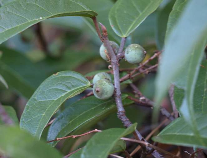
Pc076107 Rさんがイタビカズラの実を見つけました。

イタビカズラそのものはどこででも見かけますが、実を見たのは全員が初めてです。

11月末に足摺岬でオオイタビの実を見てきたばかりですが、大きさはオオイタビの3分の1ぐらいの小ささでした。

これを見るとオオイタビの実の大きさがよくわかります。

Pb305441 因みにこちらがオオイタビの実です。葉の形も違いますね。

Pc076109 箱峠まで下ってきました。

時刻は16時10分です。

バスの時間にはまだ30分近くあります。やれやれ・・。

Pc076112 箱峠付近の山々も綺麗に紅葉しています。

Pc076115 バス停まで歩く道すがら、センニンソウがまだ真っ白に咲いていて驚きました。

今の時期、センニンソウが咲いているのは、高知だけではないのですね。

香川でも庄内半島はやはり、一段と暖かいのでしょう。

Pc076117 バス停でのんびりとバスを待ちます。

付近の家もなかなか趣があります。

Pc076120 バスは予定通り、4時40分にやってきました。

予定では、3時半頃のバスで駐車場まで返り、もう一度、車で山頂に登って夕日を撮影する予定が、バスの中から夕日を見ることになりました。

12月初旬の日の入りは4時40分台ですから、バスに揺られているうちに、日が落ちてきました。

バスの窓から慌ててシャッターを切ります。

Pc076137 バスには他の乗客の方も最初は乗っていたのですが、途中で下りてしまわれ、私たち4人になったので、バスの運転手さんがバスをしばし止めてくれました。

しかも、電線などが入らない、撮影にもってこいの場所で・・。

残念なのは腕が悪くて、半分ぐらいの画像が水平線が傾いてしまっていたことでしょうか。

見る見る間に日が落ちていきます。

Pc076159

車を停めてある駐車場には5時前に着きました。

バスの運転手さんにお礼を言って、下りた後、しばらくの間、夕焼けを撮影しました。

画像向かって左の島が伊吹島でその後方には愛媛の山なみがシルエットで見えています。

Pc076151 そして、この画像、向かって右端の山が石鎚山なのだそうです。

昼間は展望台からも霞んでしまって見えなかったのが、夕暮れ時になって見ていたようです。

考えてみたら、庄内半島と石鎚の間にあるのは海だけなので、条件が良ければ石鎚が見えても不思議ではないんですね。

陽だまりハイクを楽しんだ最後に、夕日と夕焼けも眺めることができて、この日の天候に感謝しなければなりません。

これで昼の部の予定は消化し、この後はお待ち兼ね、夜の部・・・。

午後6時から午後10時まで延々4時間にわたって、楽しくお喋りしながらアルコールや料理を思い切り楽しんだのでした。

これからも恒例になりそうなぐらい、楽しい一日でした。

コメント(0)