9月下旬の花、セトウチホトトギス

香川の里山で咲くホトトギスといえば、セトウチホトトギスです。

9月中旬の散策ではあいにくとセトウチホトトギスを見ることができませんでしたが、下旬には見ることができました。

P9224295

セトウチホトトギスを初めて見たのは、もう7年ほど前のことです。

それまでは県境の山でヤマジノホトトギスを見ていたのですが、葉の感じや花の感じが違うので、調べたところ、セトウチホトトギスとわかりました。

その後も、高松郊外の山で見かけたりしましたが、西讃でも所々で咲くのを見ています。

P9224294 一見すると、花はヤマジノホトトギスと似ているのですが、よく見ると花柱に斑点が入ること、花柱の基部が黄色く色づくことなどが大きな違いです。

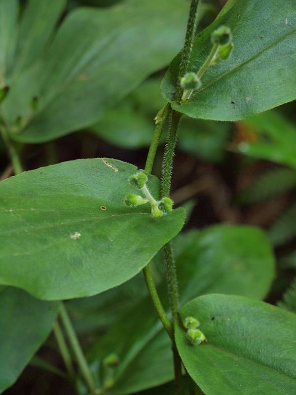
P9224298 茎や葉には細かい毛がたくさん生えているのも、特徴です。

P9224291 今回見かけた株はずいぶん大株で、これほどの株は珍しいと思いました。

花芽をびっしりと、1株に数十個も付けていて壮観です。

香川の山では標高の高い山地ではヤマジノホトトギス、標高が低い山ではセトウチホトトギスという風に棲み分けているようです。

コメント(0)