夏の寒峰へ、その3、マルミノヤマゴボウの派手な果実

林道沿いにはほかにもいろいろな草木が生えていて、植物ウオッチングには最適です。

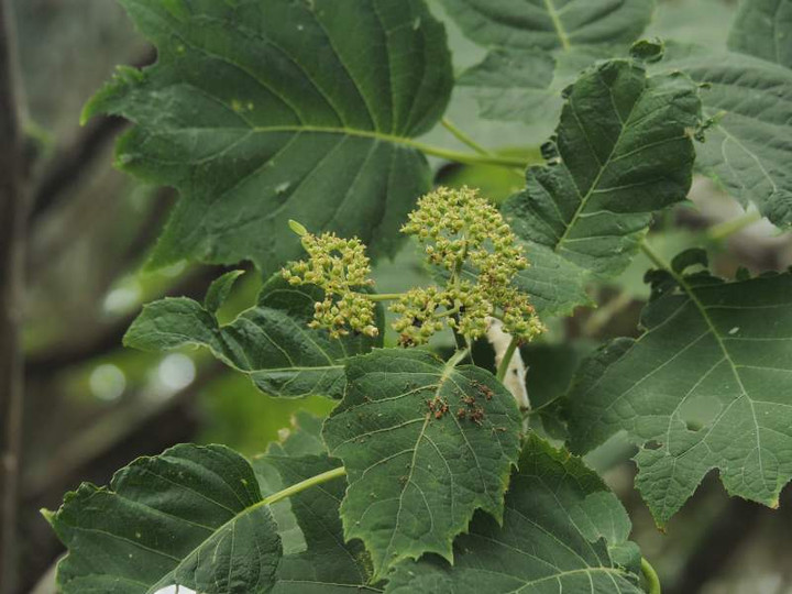
中に派手な実をつけたマルミノヤマゴボウもたくさん見かけました。

5月下旬に比叡山で花をたくさん見ていたのですが、果実を見るのはこれが初めてでした。

徳島の山にもマルミノヤマゴボウが多く、これも毒草ゆえにシカに食べられずに残るようです。

P8129409

抜きまくったせいで最近でこそ我が家の庭に生えなくなりましたが、一時期、ヨウシュヤマゴボウが毎年のように生えてきては実をつけていましたが、ヨウシュヤマゴボウの果実よりこちらの方がインパクトがあります。

どこが違うのか考えてみました。

ヨウシュヤマゴボウでは花序が果実の時期には枝垂れますね。マルミノ・・・のほうでは果実の時期にも垂れさがっていません。

また果実もヨウシュヤマゴボウは分果だそうですが、マルミノ・・・のほうは分果ではないようです。

P8129408

まだ果実ができてなくとも赤い色の花序が見えました。

花序は最初は白いのですが、赤く変色してくるそうです。

P5207255↑5月に比叡山で見たマルミノヤマゴボウの花序です。

この白い花序が↑の赤い花序に変わるんですね。

こんな変な季節に寒峰に来たおかげで、マルミノヤマゴボウの勉強ができました。

P8129411ほんとはこの林道を車で上がってくる予定でしたが・・・・

歩いて上がってこそ見えるものもあるので、決して無駄にはならないものですね。

P8129413Pさんはすでに見ているそうですが、私としては今年初見のクサギの花。

もうそんな季節なんですね。

P8129414

これは葉が細いのでサワヒヨドリ?

ヒヨドリバナも種類が多くて、いまいち同定に自信がありません。

P8129415林道からはガスが上がっていく様子が見えます。

西の方角には格好の良い滝下の天狗が見えています。

ここもまだ登ってないので、そのうちに登りたいものです。

P81294188時43分、ようやく上の登山口を出発しました。

林道沿いをずっと植物観察しても良いのですが、それではいつまで経っても山頂に行けません。

フクジュソウの時期にはこの階段から剣山や次郎笈が見えましたが、この日はガスがかかっているのか、それとも樹林がじゃまなのか見えません。

P8129419ここからの道は二度歩いているはずなので、記憶がしっかりあるかと思いきや、そうでもないのがつらいです(^^;)

2015年3月にPさんのご主人のMさんやRさんとも一緒に二度目のフクジュソウのお花見に来たのです。

ここからは自然林の中の歩きとなります。

P8129420ちょっとだけ視界の開けた場所があって、まだガスが残っていますが、そのうち取れそうな気配です。

P8129421またまた登山道の途中が崩落していて、慎重に通過します。

ここはフクジュソウが咲くぐらいですから石灰岩質で、ザレ場が多いですね。

P8129422ザレ場を通過していると、ここがフクジュソウの下の自生地だと勘違いしてしまいました。

実際はもう少し上です。

P8129424

ミゾホオズキがまだ咲いていましたが可愛い花ですね。

P8129425これはお馴染みノリウツギの花。

P8129427ヤマシャクヤクが果実をつけています。

黒いのが果実(種)です。

いつもフクジュソウの咲く時期しか来ないので、ヤマシャクヤクの花なんてここでは見たことがありませんが、5月初めには咲いてるのだと思います。

P8129429

それまでトラバースに気味に歩いていた道が、直登してついています。

ここも、三角点の下の直登の場所と勘違いしてました。

寒峰はバリエーションルートでばかり登っているので、普通の登山道が余り頭に入ってないのです。

直登のように見えていた道はすぐにトラバース気味に登る道へと変わりました。

P8129431

9時21分、今度こそ、フクジュソウの下の自生地にやってきました。

そうそう、この看板が立っているんですよね。

P8129434フクジュソウの季節には落葉樹が葉を落としていて日当たりの良い場所ですが、今の季節は結構な樹林です。

↑シコクブシもありますが、蕾がまだ固そうですね。

標高を上げたら何とか咲いている株に会えるでしょうか。

P8129435

フクジュソウ自生地のすぐ近くにまたまたヤハズアジサイの葉が見えました。

今度は花らしきのも見えています。

撮影しにくい場所にあるのを、何とか撮影しますが、どうやら花が終わった咲き跡でした。

P8129439

調べるとヤハズアジサイは花期は7月初めみたいで、花が見たければその頃に来ないといけないんですね。

キレンゲショウマなどと同じソハヤキ植物で四国でも祖谷周辺の山では見かけますが、それ以外では見かけません。

P8129442近くにも花つきの良い株がありましたが、これも花が終わっています。

ヤハズアジサイの花を見るのは来年の課題でしょうか。

P8129441

シロモジの果実もすっかり大きくなっています。

P8129443

なおも歩いていくと、Pさんが「これは何?」というので、眼鏡をかけて眺めます。

小さな白い花で、眼鏡をかけてないときはわかりませんでしたが、眼鏡をかけるとコフウロだとわかりました。

花も葉も小さくて、いつも見るコフウロの半分ぐらいです。

P8129444

南の方角に、向かいの剣山系が見えてきましたが、稜線にガスがかかっています。

仕方ない…この日は高知の天気は雨ですから、南に行くほど天気は悪そうです。

私たちが雨に遭わないだけでも良しとせねば・・・

コメント(2)